REQUEST A TOUR If you would like to see this home without being there in person, select the "Virtual Tour" option and your advisor will contact you to discuss available opportunities.
In-PersonVirtual Tour

$ 15,900
Est. payment /mo
New
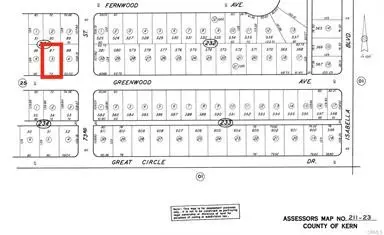
0 Greenwood AVE California City, CA 93505
UPDATED:
Key Details
Property Type Vacant Land
Listing Status Active
Purchase Type For Sale
MLS Listing ID HD25265140
HOA Y/N No
Property Description
California City - Nice flat land 9,365 SQFT Come see the city that takes its namesake from the Golden State. Maybe buy a piece of land while you're up. This piece of land. Why would you want it? Some Day development will make its way to this end of the Mojave. There's some here already, Well there is this lot.. A little bit of desert sand to call your own. Power is a little ways away. Reach out to California City Water Dept & their Sanitation division for more info on water & sewer service. Feel free to take a drive by the lot: CA City BLVD L on 72nd, R on Dogwood, Follow until it become 71st, pass pavement end, L on Greenwood 35.119643°N, 117.998727°W Copy and paste the coordinates to google maps for a pin with the location.
Location
State CA
County Kern
Area 699 - Not Defined
Zoning R1
Interior
Fireplace No
Exterior
Community Features Rural, Valley
Utilities Available Water Not Available
View Y/N No
View None
Building
Lot Description 0-1 Unit/Acre, Desert Back, Desert Front
Water None
New Construction No
Others
Senior Community No
Tax ID 21123105
Acceptable Financing Cash
Listing Terms Cash
Special Listing Condition Standard

Listed by Maria Perez Excellence RE Real Estate 562-948-4553




